[fusion_builder_container hundred_percent=”yes” overflow=”visible”][fusion_builder_row][fusion_builder_column type=”1_1″ background_position=”left top” background_color=”” border_size=”” border_color=”” border_style=”solid” spacing=”yes” background_image=”” background_repeat=”no-repeat” padding=”” margin_top=”0px” margin_bottom=”0px” class=”” id=”” animation_type=”” animation_speed=”0.3″ animation_direction=”left” hide_on_mobile=”no” center_content=”no” min_height=”none”]
Ahdekaunokki on näyttävä kasvi visuaalisesti. Se kasvaa tiheissä ryhmissä ja sen yksittäinen kukka on komea. Suomenojalla kasvaa täyttömaalla ja täyttömäella pari tiivistä ja runsaanpuoleista ahdekaunokkikasvustoa. Ahdekaunokki houkuttelee perhosia, mehiläisiä ja kimalaisia sekä myös kukkakärpäsia. Perjantaina laskin täyttömaan tiheässä ahdekaunokkikasvutossa noin 10mx15m kokoisella alueella noin 35 neitoperhosta, satakunta mehiläistä ja kimalaista yhteensä – ja vielä kukkakärpäset päälle. Voidaan siis puhua ahdekaunokin mesibaarista.
Myös ahdekaunokin heimokaverit, ohdakkeet keräävät pölyttäjiä, mutta ohdakkeiden kasvustot eivät ole yhtä tiiviitä ja pölyttäjien tiheys ei ole samaa luokkaa kuin ahdekaunokilla. Myös pietaryrtit näyttävät vetävän pölyttäjiä hyvin puoleensa.
Helmut Diekmannin kirjoittamaa taustaa perhosista myös tällä viikolla:
”Tällä hetkellä Suomenojan lintualtaan ympäristössä lentelee runsaasti neitoperhosia. Myös nokkosperhosia ja karttaperhosia näkee. Nämä lajit kuuluvat täpläperhosten heimoon ja aitotäpläperhosten (Nymphalinae) alaheimoon.
Neito- ja nokkosperhoset ovat ns. aikuistalvehtijoita. Heinäkuun loppupuolella kuoriutuvat aikuiset perhoset lentelevät vielä pitkälle syksyyn, mutta viimeistään lokakuussa ne hakeutuvat suojaisaan paikkaan ja vaipuvat kylmähorrokseen. Kevään ensimmäiset lämpimät säät sysäävät ne sitten taas liikkeelle. Vasta keväällä perhoset parittelevat. Parittelun ja muninnan jälkeen niiden elinkaari sitten päättyy.
Karttaperhonen on siis neito- ja nokkosperhosen läheinen sukulainen, mutta sen elinkaari on erilainen: laji talvehtii kotelona. Kesän aikana perhonen lentää kahdessa polvessa: toukokuussa esiintyy oranssinvärinen kevätpolvi ja heinä-elokuun aikana lentää toinen sukupolvi, jonka siipien pohjaväri on musta ja jolla on valkoisia (ja hieman punaisiakin) täpliä. Linné luuli aikoinaan tätä mustavalkoista myöhäiskesän polvea eri lajiksi. Karttaperhonen on Etelä-Suomessa suhteellisen uusi tulokas, joka vasta vuonna 2000 onnistui vaellusten tuloksena kotiutua tänne.
Aitotäpläperhosiin kuuluvat myös ohdakeperhonen ja amiraali. Nämä lajit ovat vaeltajia, jotka saapuvat Suomeen keväisin Etelä-Euroopasta. Ne pystyvät täällä tuottaman yhden uuden sukupolven, joka aloittaa lentonsa tavallisesti elokuun alussa. Syksyisin perhoset vaeltavat todennäköisesti takaisin etelään. Toisin kuin neito- ja nokkosperhonen ne eivät selviä Suomen talvesta.
Kumpaakaan lajia en ole nyt loppukesän aikana vielä havainnut Suomenojan maisemissa. Sen sijaan olen löytänyt nokkosista eri kehitysasteissa olevia amiraalin toukkia – mikä viittaa siihen, että amiraaliperhoset ovat vasta tulossa.
Amiraalin toukka elää nokkosella yhteen kehrättyjen lehtien välissä, missä se on melko hyvin suojassa loispistiäisiltä. Jos löytää nokkospuskasta ”tötteröksi” punotun lehden, sen sisällä saattaa piileskellä amiraalin toukka.”
Keväällä oli marskiviholaisten koloniat pitkään veden peittämiä. Heräsi huoli marskien selviämisestä. Tuomaksen kuva todistavat, että näyttävät selvinneen ja tuntuvat voivan hyvin.
Kirvojen ja niitä seuranneiden leppäkerttujen invaasioista on paljon kirjoitettu. Suomenojalla ei ole ollut kasoittain leppäkerttuja, mutta runsaanpuoleisesti kylläkin. Niitä varsin helppo löytää kasveilta etenkin pietaryrteiltä, missä ne kaivelevat mykeröiden välistä esiin kirvoja. Myös lähilajia, keltaista ja mustakuvioista ruutupirkkoa on liikkeellä normaalia enemmän.
Nokikanan ja liejukanan poikaset alkavat pikkuhiljaa näyttämään aikuisilta.
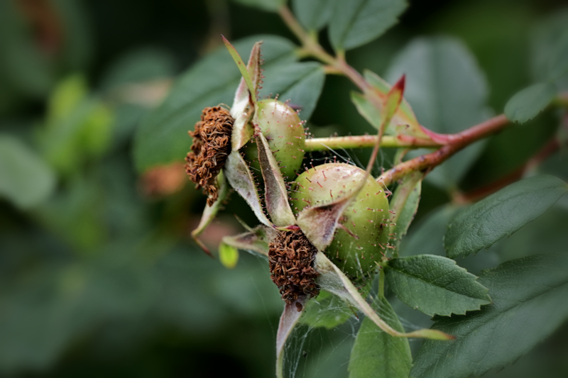
Iharuusun, luonnovaraisen ruusun kiulukan tunnistaa piikeistä kiulukoissa. Tiettävästi toinen piikkisen kiulukan omaava on okaruusu, joka kasvaa vain Ahvenanmaalla ja Saaristomerellä. Näille, kuten muillekin luonnovaraisille ruusuille, on myös yhteistä yksinketaiset kukat (ei siis monikerroksiset, kuten jalostetuilla puutarharuusuilla). Suomenojan historian tuntien ei ole poissuljettu, että okaruusu olisi kulkeutunut jonkin vanhan säätyläistalon kautta Suomenojalle. Olen yrittänyt asiantuntijoiden avulla (lähettämällä kuvia kukista, lehdistä ja kiulukoista) saada varmennusta kumpi on kyseessä. Valitettavasti varmennus ei ole onnistunut.
Valkomesikkä on mesikasvi, Etelä-Suomen kasvi, joka rantautui meille 1900-luvun alussa laivojen painolastien mukana. Kuten nimikin kertoo kerää se hyönteisiä. Suomenojalla sitä on täyttömäellä ja jonkinverran kävelyteiden reunalla.
[/fusion_builder_column][fusion_builder_column type=”1_1″ background_position=”left top” background_color=”” border_size=”” border_color=”” border_style=”solid” spacing=”yes” background_image=”” background_repeat=”no-repeat” padding=”” margin_top=”0px” margin_bottom=”0px” class=”” id=”” animation_type=”” animation_speed=”0.3″ animation_direction=”left” hide_on_mobile=”no” center_content=”no” min_height=”none”]
- Ahdekaunokin mesibaari – Kuva: Jukka Ranta
- Ahdekaunokki – Kuva: Jukka Ranta
- Mehiläinen ahdekaunokin mesibaarissa – Kuva: Jukka Ranta
- Amiraalin toukka – Kuva: Helmut Diekmann
- Amiraalin toukka – Kuva: Helmut Diekmann
- Amiraalin toukka suojakotelossa – Kuva: Helmut Diekmann
- Karttaperhonen – Kuva: Helmut Diekmann
- Neitoperhonen ahdekaunokin mesibaarissa – Kuva: Jukka Ranta
- Leppäkerttu – Kuva: Jukka Ranta
- Marskiviholainen – Kuva: Tuomas Heinonen
- Marskiviholainen – Kuva: Tuomas Heinonen
- Marskiviholainen – Kuva: Tuomas Heinonen
- Jäärä kiinnostui viikkoraportin toimittajan poskesta – Kuva: Bore Wanner
- Metsäkauriin voi tavata metsiköissä – Kuva: Tuomas Heinonen
- Nokikana – Kuva: Bore Wanner
- Liejukana – Kuva: Bore Wanner
- Liejukana – Kuva: Bore Wanner
- Liejukana – Kuva: Bore Wanner
- Iharuusun kiulukka – Kuva: Jukka Ranta
- Valkomesikkä – Kuva: Jukka Ranta
- Etelänruttojuurikasvusto – Kuva: Jukka Ranta





























